|
|
|
||||||||||||||||||
ビーチサンダルに履きかえて |
||||||||||||||||||||
|
||||||||||||||||||||
|
||||||||||||||||||||
|
||||||||||||||||||||
|
ここ数年で、よりにぎやかに表情を変えてきた 関東随一のサーフタウン・一宮町。 海岸線に沿って走る九十九里ビーチラインは「波のりロード」とも呼ばれ、 サーフショップや西海岸風スタイルのモダンな家が並んでいる。 都心から90分ほどのドライブは二拠点居住の人気エリアでもある。 そんな潮風と波音を感じさせる場所に誕生した「シーサイドタウン」があった。 さっそく周りを散策、 海岸方面に歩きビーチラインを越えると、 海に向かって松の木の防砂林が広がっている。 砂の小道を進むと広大な太平洋を望む海岸へと到着。 寄せては返す波のように、何度も沖へ向かっては波に乗って岸へと戻るサーファーたち。 そんななんともロハスな光景が、この街の景色の一部となっているようだ。 しばらくまどろんで眺めていると肩の力がすっと抜ける感覚に包まれた。 ビーチサンダルが似合う空気。 「今日の波どう?」 ここに住んだら、そんな会話を是非楽しみたい。 「シーサイドタウン」は、ビーチラインから少し内陸に入った エリアに位置しています。 東側へ数分歩けば海、西側は田園風景が広がっている。 春はいちご、夏はメロン・ブドウ、秋は梨などフルーツ作りも盛んな町だ。 また、近くにいくつか産地直売所があって新鮮で瑞々しい農産品が手に入る環境だ。 海と山、自然の恵みがすぐ側にあり、それが日常という場所。 各区画は100坪超という広さで、 菜園やサウナ小屋、ガレージなど、住んでから自分の色を足していく「余白」を愉しめそうだ。 憧れだけでは語れないのが移住のハードルだが、 車で10分ほど走れば大型スーパーやドラッグストアもある。 また、JR「上総一ノ宮」駅は特急「わかしお」の停車駅。 東京まで約1時間という距離感は十分な通勤圏内と言えるだろう。 ウエット姿でもビーチサンダルでもどこまでも行ける雰囲気。 ロハスでオシャレなんだけど飾らない。 気負いは感じないけど、それぞれ自分のスタイルがある。 これから家が建ち、これから人が集い、 これから関係が育っていく場所「シーサイドタウン」。 飾らない自分だけのスタイルを、ここから描き始めてみませんか。 |
![]() |
|
| 新たにできた道右は海側 |
|
| 公園の南側 |
|
| 公園の南側を西向きから |
|
| 公園横の土地 |
|
|
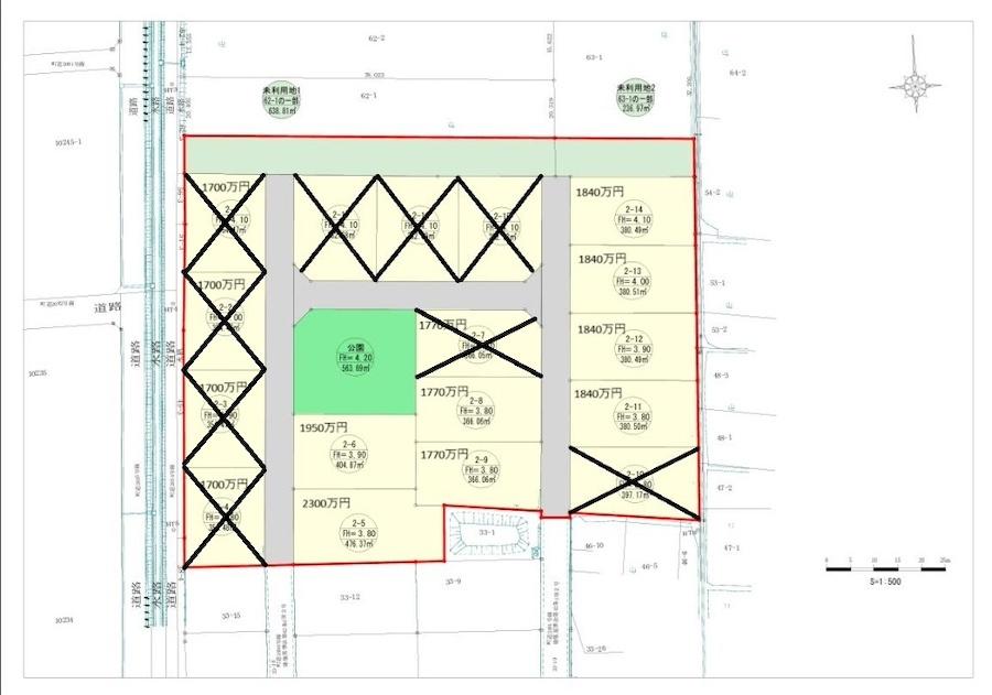
| 価格 | 1,770万~2,300万円 | 専有面積 | |
| 管理費 | なし | 修繕積立金 | なし |
| 所在地 | 千葉県長生郡一宮町一宮 | ||
| 交通 | JR外房線上総一ノ宮 徒歩40分 | ||
| 建物構造 | 所在階 | ||
| 築年 | 土地権利 | 所有権 | |
| 土地面積 | 366.06㎡~476.36㎡ | 都市計画 | 非線引き区域 |
| 用途地域 | (無指定) | 建蔽率/容積率 | 60/200 |
| その他費用 | 取引態様 | 媒介 | |
| 設備 | 電気、上水道、側溝 | ||
| 備考 | 地目:宅地/引渡時期:相談/特定用途制限地域(県道飯岡一宮線一宮地区) | ||
| 情報修正日時 | 2026年3月7日 | 情報更新予定日 | 2026年3月26日 |
あなたにおすすめの物件


